Todo comenzó a las 17 horas 23 minutos y terminó a las 18 horas 57 minutos: más de 90 minutos continuados en vivo desde Miami con notas sobre el huracán Milton a las actrices Andrea Estévez y Claudia Albertario; a la abogada Ana Rosenfeld, a un influencer de Disneyworld, vecinos de Fort Lauderdale y el meteorólogo Sergio Jalfin.
¿HURACAN MATA CONGRESO?
TN conectó 90 minutos con Miami y "gracias" al fenómeno Milton ganó el rating
El canal de noticias del Grupo Clarín se enganchó con Miami y el huracán Milton. Venció a rivales que informaban sobre la votación universitaria en el Congreso.
Los conductores de TV entraban (Marcelo Bonelli) y salían (Carolina Amoroso) pero el tópico principal no cambiaba y se transformaba en un “monotema”.
La señal de Constitución estaba perdiendo en las mediciones contras las posiciones más extremas de C5N (en contra del veto presidencial).
Sin embargo, a las 18 horas y 24 minutos, tras una hora de lluvias y vientos en continuado, TN ya tocaba los 4 puntos en los people meter y se recuperaba de una tarde complicada.
¿Por qué nos fascina tanto un fenómeno climatológico que ocurre a tantos miles de kilómetros?
Un productor de TN reconoció:
Muchos televidentes tienen hoy amigos, parientes o conocidos viviendo en Tampa, Orlando o Miami. Eso multiplica el interés del televidente.
Meteorólogo se emociona al aire en canal de Miami por la llegada del huracán
De la siguiente manera se emocionó en televisión un presentador potorriqueño en un noticiero. Culpó por lo que està ocurriendo al cambio climático y el calentamiento global.
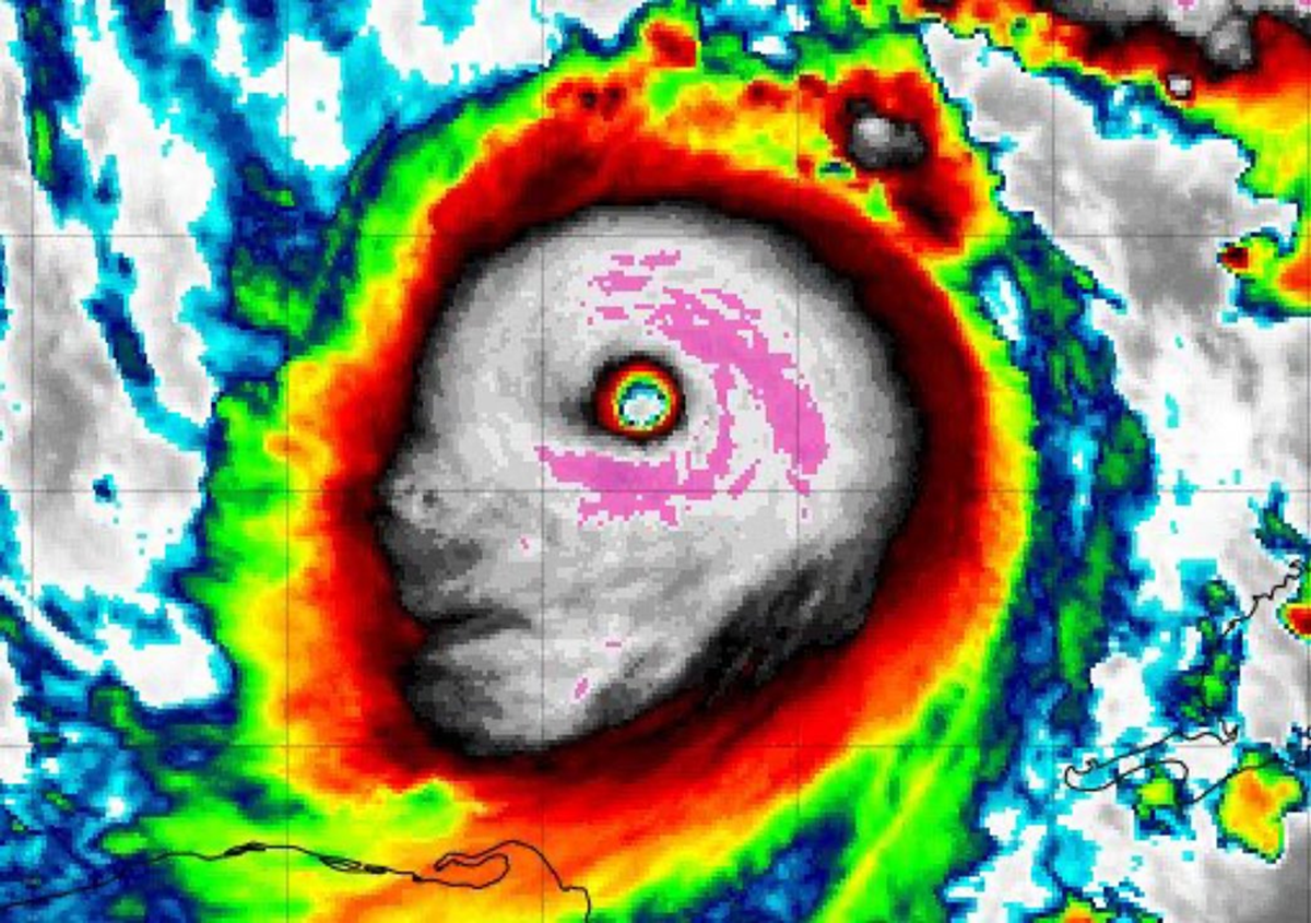
Milton tocará tierra en la madrugada o primera hora del jueves 10 de Octubre.
A preparar las pupilas porque los destellos en el cielo que llegarán desde la Unión se transmitirán a esa hora en una verdadera “cadena nacional”.











