MONSTRUOSO
El huracán Beryl impactó en Texas: Muertos, apagón masivo y vuelos cancelados
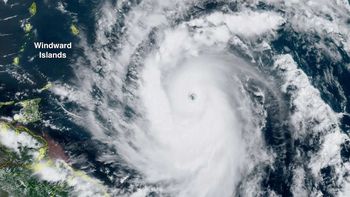
El devastador huracán “Breyl”, el más temprano registrado en la temporada, mató a varias personas y sumió en la oscuridad a Texas tras azotar el Caribe.
El devastador huracán, mató a varias personas y sumió en la oscuridad a Texas tras azotar el Caribe. Las fuertes lluvias y marejadas ciclónicas mataron al menos a dos personas, cerraron puertos petroleros, dejaron en tierra cientos de vuelos y sin electricidad a más de 2 millones de hogares y negocios en el sureste del estado.
En Texas, un hombre de 53 años y una mujer de 74 años murieron en dos incidentes por árboles que cayeron sobre sus casas en el área de Houston. En la misma ciudad, según Telemundo Houston, una tercera persona murió en un incendio registrado al este de la ciudad, mientras que un policía civil falleció atrapado en su auto cuando se reportaba al trabajo en medio del huracán.
El Centro Nacional de Huracanes de Estados Unidos (NHC) anunció considerables inundaciones repentinas e inundaciones urbanas.
Si bien los vientos se debilitaron ligeramente de 128 a 120 km/h, la tormenta causó grandes daños. El Servicio Meteorológico Nacional emitió una alerta de tornado para partes de Texas, incluida Houston, donde viven 2,3 millones de personas.
“Tenemos que tomar a Beryl muy, muy en serio. Nuestro peor enemigo es la complacencia”, dijo el alcalde de Houston, John Whitmire.
Varias áreas de la costa de Texas están bajo advertencias de huracanes y tormentas mortales. Algunas escuelas cerraron y las autoridades ordenaron algunas evacuaciones en las ciudades costeras. Los pequeños negocios de Houston, incluidos los servicios de entrega de paquetes y los quiroprácticos retrasaron sus aperturas.
Según el NHC, se espera que Beryl dé un giro hacia el noreste y acelere su velocidad de traslación. Se anticipa que el centro del sistema se desplazará a través del Lower Mississippi Valley, hasta entrar al Ohio Valley, el martes y el miércoles.
Daños en el Caribe
El paso de Beryl por el Caribe dejó11 muertos, según reportes de medios. Al menos 3 murieron el martes en Granada, que se suman a un fallecido registrado el lunes en San Vicente y las Granadinas, islas del Caribe Oriental.
Asimismo, las autoridades de Venezuela reportaron tres muertos, cinco desaparecidos y más de 600 viviendas afectadas en el estado Sucre (noreste),
Arrancó puertas, ventanas y techos de viviendas en todo el sureste y la vida de 4 personas en Granada y otra en San Vicente y las Granadinas.
Videos difundidos por las redes sociales por usuario del Caribe mostraron el tambaleo de embarcaciones y el hundimiento de otras y la destrucción de infraestructura portuaria y carreteras.
Beryl no solo es el primer huracán originado en la cuenca este 2024, sino el el primer huracán jamás registrado durante el mes de junio que alcanza por lo menos la categoría 4 de intensidad. Un claro signo de las distorsiones climáticas causadas por el calentamiento global.
Más contenido de Urgente24
Selección de México: La razón de sus reiterados fracasos
David Ellison, hijo de Larry, fusionará su Skydance Media con Paramount
Selección Argentina: Lionel Scaloni confirmó a Lionel Messi y una duda en el mediocampo
Repudio contra Radio Nacional por unificar sus emisoras: "Vaciamiento"










